Khu đô thị Lideco Bắc 32 là dự án biệt thự và liền kề cao cấp do Công ty Cổ phần Phát triển Đô thị Từ Liêm làm chủ đầu tư. Dự án tọa lạc tại trung tâm thị trấn Trạm Trôi, huyện Hoài Đức – nơi được xem là cửa ngõ chiến lược phía Tây thủ đô Hà Nội. Với vị trí thuận tiện cùng hạ tầng phát triển đồng bộ, Lideco Bắc 32 không chỉ là nơi an cư lý tưởng mà còn mang đến cơ hội đầu tư sinh lời hấp dẫn.
Tổng quan khu đô thị Lideco Bắc 32
Dự án Lideco Bắc 32 được quy hoạch bài bản và đã hoàn thiện phần lớn, bao gồm các loại hình biệt thự song lập, đơn lập và nhà liền kề, tất cả đều được thiết kế theo phong cách châu Âu hiện đại. Đồng thời, khu đô thị sở hữu hệ thống hạ tầng kỹ thuật và tiện ích nội khu đồng bộ như hồ điều hòa, cây xanh, khu trung tâm thương mại, trường học, cơ quan hành chính… tạo nên một môi trường sống chất lượng, văn minh và bền vững.
Thông tin chi tiết về dự án:
-
Tên thương mại: Khu đô thị Lideco Bắc 32
-
Tên dự án: Dự án Lideco Bắc 32
-
Vị trí: Thị trấn Trạm Trôi, huyện Hoài Đức, Hà Nội
-
Chủ đầu tư: Công ty Cổ phần Phát triển Đô thị Từ Liêm
-
Đơn vị quản lý: Savills Việt Nam
-
Tổng diện tích đất: 38,95 ha
-
Mật độ xây dựng: 42%
Sản phẩm phát triển:
-
Biệt thự nhà vườn: 648 căn, diện tích từ 160m2 đến 514m2, thiết kế 4 tầng + 1 tum
-
Nhà liền kề: 136 căn, diện tích từ 75m2 đến 140m2, xây dựng 4 tầng + tum

Dự án sở hữu chuỗi 66 tiện ích đa dạng, phục vụ đầy đủ nhu cầu sống, nghỉ dưỡng và vui chơi giải trí của cư dân như:
-
Hệ thống nước uống trực tiếp tại vòi
-
Phòng khám đa khoa
-
Trường học nội khu
-
Bể bơi bốn mùa
-
Sân tennis
-
Siêu thị tiện lợi
-
Vườn cây xanh
-
Khu thể thao ngoài trời và nhiều tiện ích cộng đồng khác
Thông tin pháp lý và hiện trạng:
-
Hình thức sở hữu: Sổ hồng lâu dài, vĩnh viễn
-
Bàn giao dự kiến: Quý IV/2020
-
Hiện trạng: Dự án đã xây dựng và hoàn thiện khoảng 80% tổng thể; cư dân đã chuyển về sinh sống, hình thành cộng đồng dân cư ổn định và văn minh
Chủ đầu tư khu đô thị Lideco Bắc 32
Chủ đầu tư của khu đô thị Lideco Bắc 32 là Công ty Cổ phần Phát triển Đô thị Từ Liêm – một trong những đơn vị có kinh nghiệm lâu năm trong lĩnh vực đầu tư và phát triển bất động sản tại Việt Nam. Với tên giao dịch là LIDECO.,JSC, doanh nghiệp này đã từng bước khẳng định vị thế thương hiệu thông qua hàng loạt các dự án nhà ở, khu đô thị quy mô lớn trên toàn quốc.
Thông tin chi tiết về chủ đầu tư Lideco:
-
Tên công ty: Công ty Cổ phần Phát triển Đô thị Từ Liêm
-
Tên giao dịch: LIDECO.,JSC
-
Địa chỉ trụ sở: Tòa nhà Lideco, Khu đô thị mới Dịch Vọng, phường Dịch Vọng, quận Cầu Giấy, Hà Nội
-
Số điện thoại liên hệ: 04.3645.3747
Trải qua quá trình hình thành và phát triển không ngừng, Lideco đã mở rộng hoạt động kinh doanh đa dạng ở nhiều lĩnh vực khác nhau, đặc biệt là trong ngành bất động sản và xây dựng. Với chiến lược phát triển bền vững và định hướng chuyên nghiệp, công ty ngày càng được đánh giá cao về năng lực triển khai, thi công và quản lý các dự án bất động sản lớn.
Các lĩnh vực hoạt động chính của Lideco gồm:
-
Đầu tư và xây dựng các khu nhà ở cao cấp
-
Xây dựng và phát triển khu đô thị mới
-
Xây dựng khu công nghiệp
-
Quản lý vận hành và kinh doanh bất động sản nhà ở
-
Quản lý vận hành và kinh doanh bất động sản khu công nghiệp
Với tiềm lực tài chính vững mạnh, uy tín thương hiệu và năng lực triển khai dự án đã được chứng minh qua nhiều năm, Lideco hiện đang là một trong những chủ đầu tư đáng tin cậy trên thị trường. Dự án Lideco Bắc 32 là minh chứng điển hình cho năng lực quy hoạch bài bản, thiết kế chất lượng và thi công đồng bộ mà chủ đầu tư mang lại.
Vị trí dự án khu đô thị Lideco Bắc 32
Khu đô thị Lideco Bắc 32 sở hữu vị trí chiến lược ngay trung tâm thị trấn Trạm Trôi, huyện Hoài Đức – nơi được xem là cửa ngõ kết nối phía Tây thủ đô Hà Nội. Tọa lạc ngay trên trục Quốc lộ 32 – tuyến giao thông huyết mạch dẫn vào thành phố Sơn Tây – dự án không chỉ nằm ở vị trí đắc địa của khu vực Tây Bắc Hà Nội, mà còn thuộc khu vực trọng điểm được quy hoạch trở thành trung tâm hành chính mới của quận Hoài Đức trong tương lai.
Lideco Bắc 32 nằm trong vùng lõi quy hoạch trung tâm hành chính quận Hoài Đức, hưởng lợi trực tiếp từ đề án chuyển đổi huyện Hoài Đức thành quận, đồng thời tiếp giáp với nhiều khu đô thị hiện đại đã đi vào hoạt động như Kim Chung – Di Trạch, Nam 32 Westpoint hay Tây Tân Đô.
Ranh giới tiếp giáp của dự án:
-
Phía Đông: Giáp xã Kim Chung
-
Phía Tây: Giáp tỉnh lộ 442
-
Phía Nam: Giáp Quốc lộ 32
-
Phía Bắc: Giáp địa phận huyện Đan Phượng
Sở hữu vị trí giao thông thuận lợi, hệ thống hạ tầng ngày càng được hoàn thiện đồng bộ, Lideco Bắc 32 dễ dàng kết nối với hàng loạt công trình trọng điểm của thủ đô. Bên cạnh đó, dự án cũng được thừa hưởng toàn bộ hệ thống cơ sở hạ tầng kỹ thuật, tiện ích công cộng cấp khu vực, công trình văn hóa và các thiết kế kiến trúc nổi bật trong quy hoạch tổng thể của trung tâm quận Hoài Đức.

Khả năng kết nối vùng từ dự án Lideco Bắc 32:
-
Chỉ 08 phút di chuyển tới siêu thị BigC Thăng Long
-
10 phút tới Trung tâm Hội nghị Quốc gia
-
15 phút đến bến xe Mỹ Đình
-
20 phút đến bến xe Giáp Bát và cầu Thanh Trì
-
Khoảng 30 phút đến khu vực hồ Gươm – trung tâm quận Hoàn Kiếm
Với vị trí đắc địa cùng khả năng liên kết vùng nhanh chóng, khu đô thị Lideco Bắc 32 không chỉ thuận tiện cho cư dân sinh sống mà còn mang đến tiềm năng đầu tư lớn trong tương lai khi Hoài Đức chính thức trở thành quận nội thành.

Tiện ích dự án khu đô thị Lideco Bắc 32
Khu đô thị Lideco Bắc 32 được quy hoạch nằm trong khu vực phát triển trọng điểm của trung tâm hành chính quận Hoài Đức trong tương lai. Với định hướng trở thành khu đô thị kiểu mẫu, hiện đại và đồng bộ, dự án sở hữu hệ thống tiện ích nội khu phong phú, mang lại trải nghiệm sống đẳng cấp cho cư dân.
Chủ đầu tư Lideco đã chú trọng phân bổ diện tích hợp lý cho hạ tầng kỹ thuật, hệ thống tiện ích công cộng và không gian cây xanh. Nhờ vậy, khu đô thị Lideco không chỉ đảm bảo môi trường sống trong lành, thoáng đãng, mà còn góp phần giảm thiểu tối đa tình trạng ô nhiễm – điều mà nhiều khu đô thị khác khó đạt được.
Dự án được phát triển theo mô hình khép kín, tích hợp đầy đủ các dịch vụ tiện ích phục vụ nhu cầu sinh hoạt, vui chơi, giải trí, giáo dục và y tế, giúp cư dân tận hưởng trọn vẹn một cuộc sống tiện nghi ngay trong nội khu mà không cần phải di chuyển xa.

Hệ thống tiện ích nổi bật tại khu đô thị Lideco Bắc 32 gồm:
-
Hồ điều hòa, công viên cây xanh và thảm hoa cảnh quan
-
Trung tâm thương mại tích hợp mua sắm, giải trí
-
Spa chăm sóc sức khỏe và sắc đẹp
-
Hệ thống nhà hàng, câu lạc bộ sinh hoạt cộng đồng
-
Vườn hoa và khu dạo bộ ven hồ
-
Khu vui chơi trẻ em trong nhà và ngoài trời
-
Sân chơi thể thao ngoài trời, sân tennis
-
Phòng tập gym, yoga hiện đại
-
Trung tâm hành chính khu vực
-
Trạm y tế chăm sóc sức khỏe cư dân
-
Trường học liên cấp đáp ứng nhu cầu học tập cho con em
-
Hệ thống bãi đỗ xe phân bố hợp lý, tiện lợi



Với chuỗi 66 tiện ích nội khu hiện đại, khu đô thị Lideco Bắc 32 mang đến mô hình sống hiện đại theo phong cách nghỉ dưỡng, nơi mỗi căn biệt thự hay nhà liền kề không chỉ là nơi ở mà còn là không gian tận hưởng cuộc sống lý tưởng. Đây là lựa chọn hoàn hảo cho những ai đang tìm kiếm một tổ ấm khép kín, tiện nghi và đầy đủ dịch vụ ngay tại ngoại thành Hà Nội.
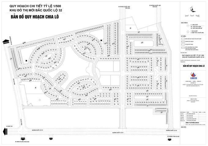
Mặt bằng khu đô thị Lideco Bắc 32
Khu đô thị Lideco Bắc 32 Hoài Đức là một trong những khu đô thị kiểu mẫu tại khu vực phía Tây Bắc Thủ đô Hà Nội, lấy cảm hứng thiết kế từ phong cách kiến trúc châu Âu cổ điển, đặc biệt là kiến trúc Pháp sang trọng, kết hợp hài hòa với công viên cây xanh và hệ thống hồ điều hòa rộng lớn. Chính sự kết hợp này đã tạo nên một không gian sống xanh mát, gần gũi với thiên nhiên, lý tưởng cho cư dân mong muốn một cuộc sống an yên, khỏe mạnh ngay giữa lòng đô thị hiện đại.
Tổng thể khu đô thị được bố cục thành hai phân khu chính nằm dọc theo trục đường trung tâm rộng 31m. Thiết kế này không chỉ tạo nên sự sầm uất, hiện đại mà còn giữ được nét yên bình và tiện nghi cần có của một khu đô thị đáng sống.

Phân kỳ 1:
Nằm ở phía Đông khu đô thị, khu vực này chủ yếu được quy hoạch với các loại hình nhà ở như biệt thự song lập, nhà liền kề, nhà liền kề có sân vườn, nhà ở và lô phố. Đây là khu vực yên tĩnh, thích hợp cho các gia đình tìm kiếm sự riêng tư và không gian sống thư thái.
Phân kỳ 2:
Nằm ở phía Tây và được xem là “trái tim” của toàn bộ dự án. Tại đây, một hồ điều hòa lớn được bố trí ở trung tâm, đóng vai trò tạo cảnh quan và điều tiết khí hậu. Bao quanh hồ là các công trình công cộng như khu thể thao, giải trí, nhà hàng, trung tâm thương mại và hành chính. Khu vực này cũng là nơi tập trung nhiều loại hình nhà ở như biệt thự đơn lập, nhà vườn, liền kề, nhà phố… tận dụng tối đa tầm nhìn hướng hồ và không gian xanh mát.

Thiết kế nhà liền kề và biệt thự Lideco Bắc 32
Liền kề Lideco Bắc 32
Nhà liền kề tại Lideco Bắc 32 được thiết kế theo phong cách kiến trúc Pháp cổ điển pha nét hiện đại, tạo nên những dãy nhà phố mang đậm tính thẩm mỹ và công năng tối ưu. Các khối nhà được phủ gam màu vàng kem – trắng trang nhã, kết hợp cùng những chi tiết hoa văn uốn lượn tinh tế. Hệ thống cây xanh hai bên đường vừa tạo bóng mát, vừa mang lại không gian sống trong lành, gợi cảm giác thư thái cho cư dân.
Thông tin chi tiết liền kề:
-
Các dãy nhà: LK1, LK2, LK3, LK4, LK5, LK6
-
Diện tích đất: từ 75m² đến 150m²
-
Mặt tiền: rộng từ 5m đến 7m
-
Chiều cao xây dựng: 3,5 tầng
Với diện tích vừa phải, thiết kế hợp lý, liền kề Lideco Bắc 32 phù hợp với đa dạng nhu cầu sử dụng từ ở, kinh doanh đến đầu tư. Đây là lựa chọn lý tưởng cho các gia đình trẻ hoặc các nhà đầu tư tìm kiếm sản phẩm bất động sản tiềm năng tại Hoài Đức.


Biệt thự Lideco Bắc 32
Biệt thự tại Lideco Bắc 32 được chia thành hai loại hình chính: biệt thự song lập và biệt thự đơn lập. Mỗi căn đều sở hữu không gian riêng tư rộng rãi, thiết kế theo xu hướng châu Âu tinh tế, với lối kiến trúc tối giản nhưng sang trọng, đề cao tính kết nối với thiên nhiên.
Thông tin quy hoạch biệt thự:
-
Các dãy biệt thự: BT1 đến BT40
-
Diện tích biệt thự nhỏ: 130m² – 180m²
-
Diện tích biệt thự trung bình: 200m² – 250m²
-
Diện tích biệt thự lớn: 250m² – 300m²
-
Thiết kế: 4 tầng kiên cố, có tầng hầm để xe
-
Vị trí biệt thự đa dạng: biệt thự mặt hồ, biệt thự căn góc, biệt thự đường lớn 31m, biệt thự gần công viên


Xem thêm: Dự án 88 Central
Ngoài thiết kế sang trọng, điểm nổi bật của biệt thự Lideco là không gian xanh bao quanh mỗi căn, đi kèm với vỉa hè rộng rãi. Hồ điều hòa trung tâm rộng tới 5ha cũng góp phần điều tiết không khí và tạo tầm nhìn đắt giá cho các căn biệt thự trong khu đô thị.
Giá bán và tiến độ thanh toán Lideco Bắc 32
Dự án biệt thự liền kề Lideco Bắc 32 hiện đang được đánh giá là một trong những khu đô thị đáng đầu tư nhất khu vực phía Tây Hà Nội, không chỉ nhờ thiết kế đẹp, quy hoạch đồng bộ mà còn bởi mức giá bán hợp lý, linh hoạt với nhiều phương án tài chính dành cho khách hàng.
Giá bán biệt thự và liền kề Lideco Bắc 32
Giá bán tại dự án Lideco Bắc 32 được đánh giá là phù hợp, cạnh tranh so với mặt bằng chung trong khu vực, đáp ứng nhu cầu mua ở lẫn đầu tư:
-
Giá đất: Từ 90 triệu đồng/m2.
-
Giá xây dựng tính theo năm 2020:
-
Nhà xây thô: 3.760.000 đồng/m2.
-
Nhà xây thô hoàn thiện mặt ngoài: 5.360.000 đồng/m2.
-
Quý khách hàng có thể liên hệ để nhận bảng giá chi tiết các sản phẩm biệt thự, liền kề tại từng dãy cụ thể.
Tiến độ thanh toán linh hoạt
Khách hàng khi mua sản phẩm tại dự án sẽ thực hiện thanh toán theo các mốc thời gian rõ ràng và linh hoạt:
-
Đặt cọc: 300 triệu đồng khi ký thỏa thuận đặt cọc.
-
Đợt 1: Thanh toán 30% giá trị hợp đồng (bao gồm tiền đặt cọc) trong vòng 10 ngày sau khi đặt cọc.
-
Đợt 2: Thanh toán 20% giá trị hợp đồng sau 30 ngày kể từ ngày đặt cọc.
-
Đợt 3: Thanh toán 20% giá trị hợp đồng sau 60 ngày kể từ ngày đặt cọc.
-
Đợt 4: Thanh toán 20% giá trị hợp đồng sau 120 ngày kể từ ngày đặt cọc.
-
Đợt 5: Thanh toán 10% còn lại sau 180 ngày kể từ ngày đặt cọc.
Chính sách bán hàng và hỗ trợ tài chính
Dự án Lideco Bắc 32 hiện đang được hỗ trợ vay vốn mua nhà từ các ngân hàng uy tín như Vietcombank, BIDV, MB, Tienphong Bank, với các điều kiện vay hấp dẫn:
-
Thời gian vay: Tối đa 20 năm.
-
Giá trị cho vay: Lên tới 70% giá trị hợp đồng.
Lãi suất tham khảo của Vietcombank:
-
Gói 1: 7,8%/năm cố định trong 12 tháng.
-
Gói 2: 8,1%/năm cố định trong 18 tháng.
-
Gói 3: 8,4%/năm cố định trong 24 tháng.
-
Gói 4: 9,2%/năm cố định trong 36 tháng.
Sau thời gian ưu đãi, lãi suất được điều chỉnh theo công thức:
Lãi suất huy động VNĐ kỳ hạn 12 tháng + biên độ 3,5%/năm.

